01.08.2020

Recyclingbeton in tragenden Fertigteilen realisiert

Europäisches Förderprojekt geht in die Erprobungsphase
Zement, Sand und Kies vollständig aus Wiederaufbereitung

Nachdem das Fertigteilwerk Beton-Betz GmbH aus Kirchardt (Mitglied der Syspro-Gruppe Betonbauteile e. V.) nunmehr drei Jahre als Hauptpartner im EU-Projekt SeRaMCo (Secondary Raw Material for Concrete Precast Products) mitgewirkt hat, wurden Ende Mai die ersten Bauteile mit entsprechender Güteüberwachung produziert. Der lange Weg der planerischen Vorbereitung nebst Antrag auf bauaufsichtliche Genehmigung wurde mit Expertenunterstützung erfolgreich absolviert – siehe Pressemitteilung vom letzten Dezember. Jetzt galt es, das Knowhow auf das erste Pilotprojekt in Zusammenarbeit mit Cerema (dem Zentrum für die Untersuchung und Expertenbewertung von Risiken, Umwelt, Mobilität und Regionalplanung aus Achères in Frankreich), der TU Delft und der Universität Kaiserslautern anzuwenden.

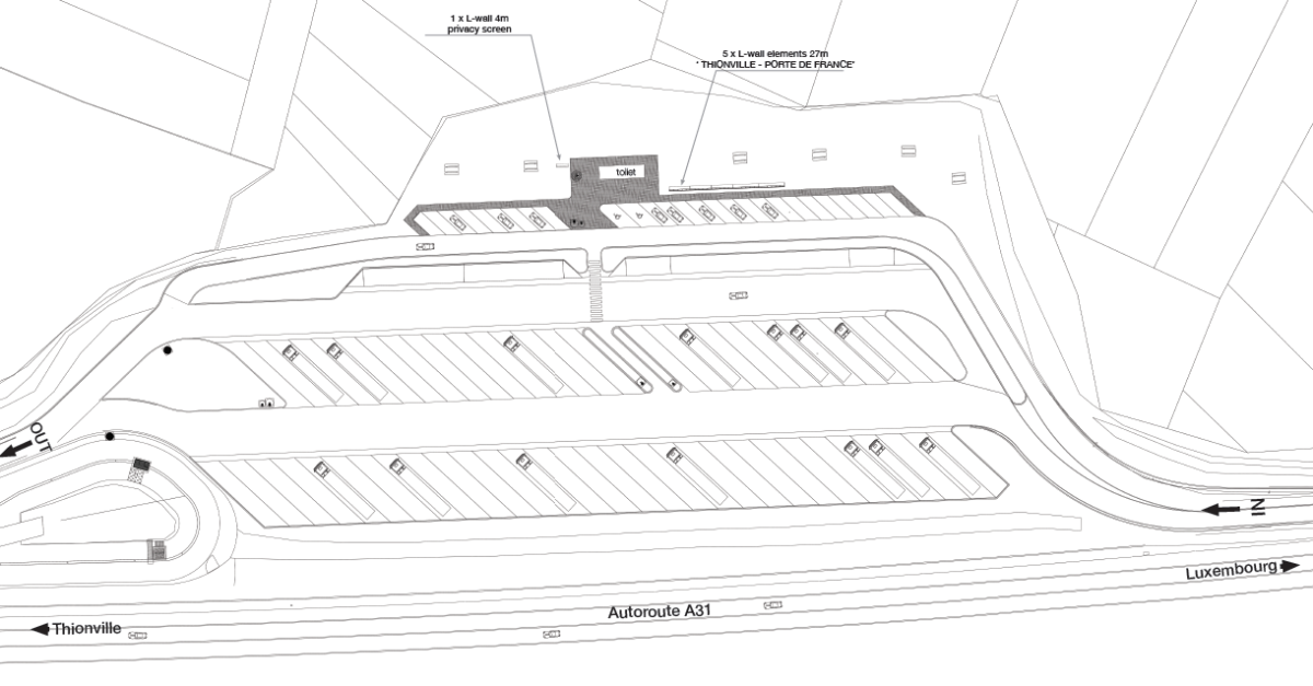
Plan des Rastplatzes

Der Standort ist ein Rastplatz an der französischen Autobahn A31, und zwar der erste Rastplatz bei der Anreise aus Luxemburg. Er gehört zur 15 km von der Stadt Thionville entfernten Gemeinde Entrange. Neben den Parkplätzen soll an exponierter Stelle die dekorative Schutzwand mit der Inschrift: "Thionville – Porte de France" aufgestellt werden. Der Standort hat den Vorteil einer sehr hohen Sichtbarkeit und eignet sich perfekt, um einem großen Publikum die Möglichkeit zu demonstrieren, relativ große Betonfertigteile aus Sekundärrohstoffen als Lärmschutzwand zu implementieren.

Übersicht der Lärmschutzwand (Die Pläne wurden von der TU Delft mit der Unterstützung von Beton-Betz und Cerema gezeichnet).

Im Fertigteilwerk Beton-Betz GmbH hergestellte Lärmschutzwand mit spezieller Buchstaben-Struktur

Die Lärmschutzwand ist 27 Meter lang, 1,4 Meter hoch, von denen 40 Zentimeter eingegraben sind, und 15 Zentimeter dick. Sie wird in fünf einzelnen Elementen à 2.590 kg vorgefertigt: drei Wände von je fünf Metern und zwei weitere von je sechs Metern mit jeweils 10 mm Scheinfugen zur Hervorhebung der einzelnen Buchstaben. Die besondere Herausforderung ist die strukturierte Oberfläche, die mit der Bezeichnung der Region in Buchstabenform zum Ausdruck kommt. Die Buchstaben selbst sind 60 Zentimeter hoch und zwei Zentimeter tief. Der Beton wird zu 100% aus recycelten Gesteinskörnungen und Zement vom Projektpartner Vicat Cement aus L'Isle D'Abeau in Frankreich hergestellt und weist die Mindestwiderstandsklasse C25/30 auf; seine Expositionsklasse wird XC4 sein. Die aktuelle europäische Norm EN 206 empfiehlt, 30% der recycelten Gesteinskörnung im Beton nicht zu überschreiten. Die französische nationale Ergänzung mit einem Maximum von 20% ist noch restriktiver. So sind diese Betonfertigteile, die aus Sekundärrohstoffen hergestellt werden, absolut innovativ, da sie zu 100% aus recycelten Gesteinskörnungen bestehen werden.

Die Buchstaben-Einlegeteile aus PVC. Sie wurden von einer Feinmechaniker-Werkstatt eigens angefertigt, damit nach dem Abheben des Fertigteils aus der Schalung eine gute Optik entsteht.
Die Lärmschutzplatte erhielt zur optischen Transparenz eine Scheinfuge zwischen den Buchstaben

Von der Norm EN 206 empfohlene maximale Prozentsätze von Gesteinskörnungen


Projektbeteiligte (Auswahl)

Standort
Rastplatz Nähe Thionville, FR
Autoren
Jutta Ulrike Lammersdorf, Dr.-Ing. Herbert Kahmer

Eingesetzte SySpro Bauelemente



Ausführung durch


Weitere News